The common brimstone butterfly as a harbinger of spring
On sunny days in February and March, bright lemon yellow butterflies can be seen along forest paths, on forest edges, or in gardens (Fig. 1). These are the males of the common brimstone butterfly (Gonepteryx rhamni), fluttering along in search of the paler, greenish-white females in order to mate. The warming rays of sunshine on the first days of early spring have awakened the butterflies from their winter rest. They are thus regarded by many people to be the much longed-for and hoped-for harbingers of spring. Now the common brimstone butterfly males begin their mating flights, which can continue until mid-April.
Alder buckthorn and the brimstone butterfly
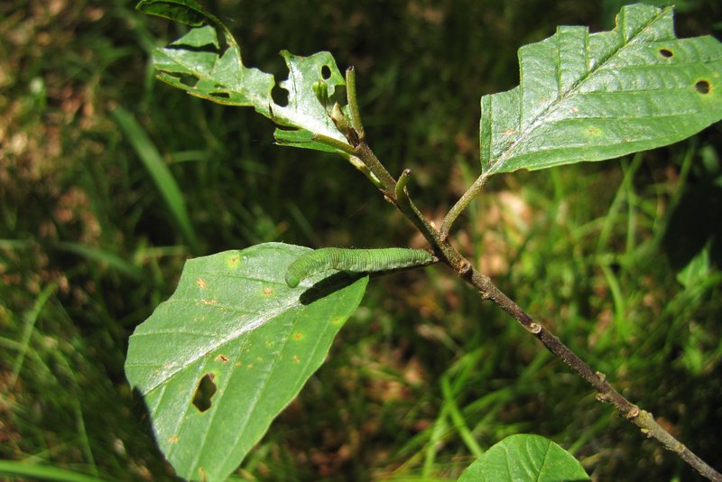
After mating, the female brimstones begin in April to May to lay their eggs individually on the buds of alder buckthorn (Frangula alnus) or common buckthorn (Rhamnus carthatica) (Fig. 2). The brimstone butterfly is closely tied to these shrub species of the genus Rhamnus, as the caterpillars can only develop on these. The caterpillars hatching from the eggs are green in colour, and well camouflaged on the leaves of the buckthorn (Fig. 3). After feeding, the caterpillars usually rest along the midrib on the upper side of the leaf. The close relationship between the brimstone and these rather overlooked shrub species shows the ecological importance that even inconspicuous plants can have for the biodiversity of our forests – without the alder buckthorn, there would be no common brimstone!
The caterpillar stage lasts three to five weeks, after which the caterpillar pupates on the shrub. The green-coloured girdle pupa has a leaf-like shape, hangs securely from a twig with a thread spun by the caterpillar, and is well camouflaged by its colour and shape. The pupal stage lasts 10 - 14 days. The first common brimstones usually emerge at the beginning of July. They often fly for just one to two weeks, then fall back into a so-called “summer torpor” on hot days.
Frost-tolerant and long-living
In September, the butterflies reappear to recharge their batteries for the long hibernation period on late-flowering herbs such as thistles. They then hibernate in the open, e.g. among dry leaves, in crevices in walls, or among old ivy vines. Their body fluid contains glycerine and certain proteins that serve as “antifreeze”, increasing the concentration of the cell fluid. This allows the brimstone to withstand temperatures as low as -20° Celsius without damage.
The brimstone butterfly spends more than two thirds of its approximately ten to twelve-month life in this state of hibernation. It thus has the highest life expectancy of all native butterfly species.




